L’île Maurice a déclenché l’alerte ce lundi 20 février, à l’approche d’un cyclone tropical intense baptisé «Freddy», avec l’annulation de vols aériens et l’interruption des transports publics, ont annoncé les autorités de cette île de l’océan Indien.
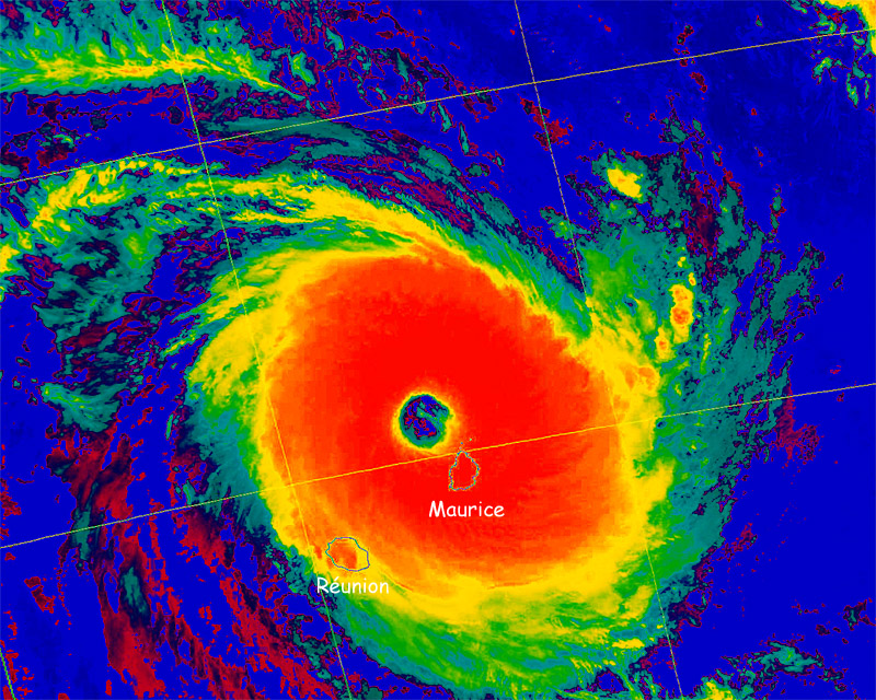
Les Services météorologiques mauriciens (MMS) ont émis un avertissement de cyclone de classe III, indiquant que des rafales de vent pourraient atteindre 300 kilomètres à l’heure.
« Au vu de la situation, nous avons pris la décision de passer en alerte 3 « , a annoncé le Premier ministre mauricien, à l’issue d’une réunion du Comité national de crise qu’il a présidé.
Le chef du gouvernement a appelé à la prudence, car « si Freddy maintient sa trajectoire et son intensité, il représentera un danger réel pour Maurice », précisant que les vents autour du centre du météore avoisinaient les 310 km/h.
« Je fais un appel pour que nous évitions les sorties, sauf en cas de nécessité, surtout dans les lieux à risques comme en bord de mer et de rivière. Assurons-nous que nos familles sont en sécurité et que nous avons fait les provisions nécessaires », a-t-il insisté, promettant que les services essentiels resteraient mobilisés à tout moment dans le but d’assurer la sécurité de la population.
Les agriculteurs eux, se montrent inquiets face au probable passage du cyclone Freddy ou d’autres éventuels cyclones à proximité de Maurice. Ils sont actuellement à pied d’œuvre pour préparer la terre et les semences afin de relancer la campagne de plantation.
Les grosses averses qui ont provoqué des inondations à la fin du mois de janvier dernier ont causé d’énormes dégâts dans les champs et le cyclone Freddy risque d’aggraver les choses lors de son passage sur l’Ile Maurice.
